






















Call for More Information
502a Pembroke St
Victoria, BC
Canada V8Z 4H7
Details
Address | 3494 Cedar Hill Rd |
Area | Saanich East |
Sub Area | Cedar Hill |
State/Province | British Columbia |
Country | Canada |
Price | $1,425,000 |
Property Type | Single Family |
Bedrooms | 4 |
Bathrooms | 2 |
Floor Space | 1994 Square Feet |
Lot Size | 14445.00 Square Feet |
Waterfront | No |
Year Built | 1968 |
Taxes | $5,244 |
Tax Year | 2024 |
MLS® # | 1003411 |
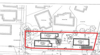
Attention Developers and Builders! This is a rare and exceptional opportunity to develop a fully approved three-lot subdivision in the prestigious Cedar Hill neighbourhood. Set on over 14,000 sq. ft. of prime land, this property is ready for immediate development. Located in one of Saanich’s most desirable areas, this subdivision offers a perfect blend of urban convenience and natural beauty. Walk to top-rated schools, enjoy easy access to public transit, and take advantage of nearby shopping, dining, and amenities. Outdoor enthusiasts will love being just minutes from the scenic Cedar Hill Golf Course, the Cedar Hill chip trail, and numerous parks and walking paths. This is a shovel-ready opportunity in a location that truly has it all—proximity, lifestyle, and strong demand. Don’t miss your chance to invest in one of Greater Victoria’s most coveted communities!
Listed by RE/MAX CAMOSUN
NOTE: MLS® property information is provided under copyright © by the Victoria Real Estate Board. The information is from sources deemed reliable, but should not be relied upon without independent verification. The website must only be used by consumers for the purpose of locating and purchasing real estate.